
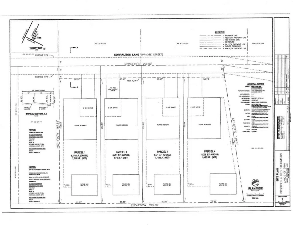
An application to subdivide the 37,230 sf (.7495 Ac.Net) lot into four parcels was returned 5/11/2021 The City of San Jose determined the proposed project of a four lot subdivision conforms to the prevailing existing neighborhood character and would be consistent with the City of San Jose's General Plan, thus granting an applicant to file for a final map - owner will not provide a final map. The Corralitos lot is adjacent to the San Jose Country Club neighborhood in the East foothills of San Jose just above Alum Rock. Very easy access - when driving up Alum Rock Avenue, turn right onto Fleming, the second street on your left side is Corralitos Lane. The lot is Surrounded by nicer homes. Substantial upside! Lots appear able to support ADU/guest unit, see photo of a proposed map a civil engineer drew identifying the possible location of 4 homes plus a location for the accessory structure.
The multiple listing data appearing on this website, or contained in reports produced therefrom, is owned and copyrighted by California Regional Multiple Listing Service, Inc. ("CRMLS") and is protected by all applicable copyright laws. Information provided is for viewer's personal, non-commercial use and may not be used for any purpose other than to identify prospective properties the viewer may be interested in purchasing. All listing data, including but not limited to square footage and lot size is believed to be accurate, but the listing Agent, listing Broker and CRMLS and its affiliates do not warrant or guarantee such accuracy. The viewer should independently verify the listed data prior to making any decisions based on such information by personal inspection and/or contacting a real estate professional.
Based on information from California Regional Multiple Listing Service, Inc. as of the most recent time synced and /or other sources. All data, including all measurements and calculations of area, is obtained from various sources and has not been, and will not be, verified by broker or MLS. All information should be independently reviewed and verified for accuracy. Properties may or may not be listed by the office/agent presenting the information
Last Updated:Â . Source: CRMLS
Provided By
Listing Agent: Will Klopp (#ML5080239)
Listing Office: Compass (#ML5009477)

Get an estimate on monthly payments on this property.
Note: The results shown are estimates only and do not include all factors. Speak with a licensed agent or loan provider for exact details. This tool is sourced from CloseHack.